Options for 1101 Curtiss

In just under a year, the 1101 Team met 16 times, including with

  • Hope’s Front Door

  • FCLC

  • Village of Downers Grove Community Development Department

  • Village of Downers Grove Community Development Department

  • Dean Andrews, former owner of 1105 Curtis

  • Schulz Properties Commercial

  • Binder Appraisals

  • Flint Architects

  • John Lee, contractor

Our costs for professional services were $17,939, (73% Architect, 17% Consulting & 10% Appraisal fees), funded by Capital Reserves and a $5,000 anonymous donation.

Two Options Rejected by Council - and the Committee

Freestanding Building

A freestanding building with FCLC and HFD as main tenants was one of the options explored. Parking exemptions would be needed due to zoning issues, limiting the number of parking spaces added to the overall count. Duplicate facilities, such as kitchen, elevator, would drive up the cost. FCLC can no longer consider expansion and HFD has limited funds available. Availability of grant funding has declined.

Estimated Cost: $7M for two stories

Estimated Cost: $4M for one story

This option was rejected by the Council and the Committee.

Selling the Property

We lose all control over what happens next door along with the opportunity to grow missions. We will need to relocate Little FREE Pantry (LFP) or discontinue it. We would make a profit; property has appraised at $885K; we paid $600K and the buyer pays for demo, site remediation, etc. OR we could sell the property to a developer and retain rights to 14 parking spaces. We would incur no costs; buyer pays for demo, site remediation, etc. The sale price is estimated between $825K and $1M; we would make a profit. Opportunity for future growth is gone forever.

This option was rejected by the Council and the Committee.

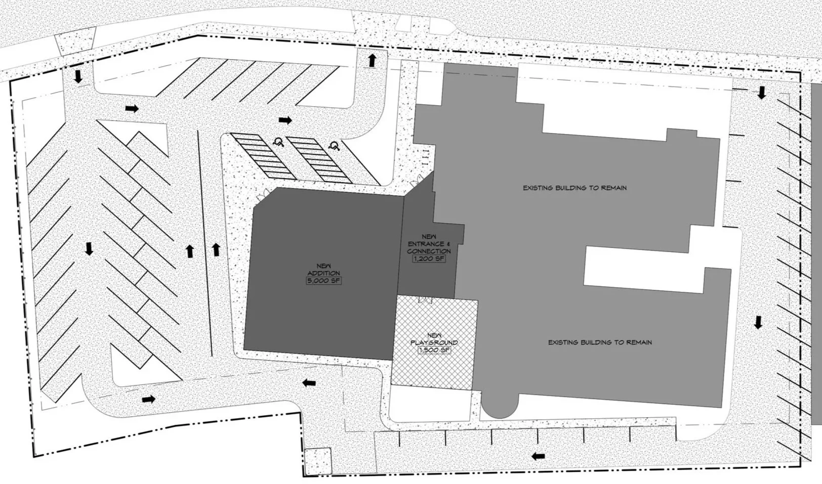
Add Onto the 1047 Building -
a vision for the future

Demolish both buildings on the 1101 property and add onto 1047.

The entire structure remains in the current Village building zone.

No Village parking requirements.

A unified look/identity; proper entry on the West side.

Some systems could be shared (elevator, Fellowship Hall, kitchen).

Potential to reallocate/renovate space at 1047.

Structural support could be included for a second floor added later.

Funding and financing options increase with lower price tag.

Estimated cost: $4.5M for 5K SF.

Estimated additional cost: $675K for 2nd floor structure.